Внутрішня будова печінки дорослої людини підпорядковане архітектоніці кровоносної і желчевыводящего русла. Основною структурною одиницею П. є печінкова часточка. Клітини в ній утворюють печінкові балки, розташовані по радіусах (цветн. рис. 1 і 2). Між балками до центру часточки, де розташована центральна вена, тягнуться синусоїди. На периферії часточки з жовчних міжклітинних капілярів формуються початкові жовчні протоки (междольковые). Укрупняясь і зливаючись, вони утворюють у воротах П. печінковий проток, по якому жовч виходить з печінки. За Еліасу (Н. Elias, 1949), печінкова часточка побудована з системи печінкових пластинок, що сходяться у напрямку до центру часточки і складаються з одного ряду клітин. Між пластинками розташовані лакуни, які утворюють лабіринт (рис. 5).

Рис. 1-3. Схеми будови печінкової часточки (рис. 3 Чайлду): 1-ductuli biliferi; 2 - жовчні капіляри; 3 - v. centralis; 4 - v. sublobularis; 5 - ductus interlobularis; б-a. interlobularis; 7-v. interlobularis; 8 - междольковые лімфатичні капіляри; 9 - пернваскулярное нервове сплетіння; 10 - приплив міждолькових вен.
З часточок складаються області та сегменти печінки, пов'язані з гілками ворітної вени і печінкових артерій. Розрізняють передній і задній сегменти в речовині правої частки П., медіальний сегмент, що займає територію хвостатої та квадратною часткою, і латеральний сегмент, відповідний лівій частці. Кожен з головних сегментів ділиться на два.
П. побудована з залозистої епітеліальної тканини. Печінкові клітини поділяються жовчними капілярами (рис. 6).
![]() Рис. 5. Мікроскопічна будова часточки печінки (за Еліасу); праворуч - портальне простір для привідної вени (1), обмежене lamina limitans; видно отвір (2) для афферентной венули, провідне в лабіринт; зліва-лабіринт часточки (3), лакуни якого обмежені печінковими пластинками (laminae hepaticae); лакуни конвергированы до центрального простору (для центральної вени). |
![]() Рис. 6. Внутридольковый жовчний прекапилляр (1), дренуючий жовч внутридольковых жовчних капілярів (2) (по Еліасу). |
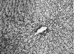
![]() Рис. 7. Гратчасті (аргирофильные) волокна всередині печінкової часточки (імпрегнація сріблом за Футу). |
Ряди печінкових клітин (балки) відокремлені від синусоидов периваскулярными просторами Бог, просвіт яких звернені мікроворсинки - вирости печінкових клітин. Інший клітинний елемент П. - зірчасті купферовские клітини; це ретикулярні клітини, що виконують роль ендотелію внутридольковых синусоидов.
Прошарку фіброзної тканини між часточками П. і паравазальные сполучнотканинні тракти складають строму печінки Тут багато колагенових волокон, в той час як в стромі часточки представлені головним чином аргирофильные ретикулиновые волокна (рис. 7).
Цитохимия та ультраструктура печінкових клітин. Печінкова клітина - гепатоцит має полігональну форму і розмір від 12 до 40 мкм в діаметрі, в залежності від функціонального стану. В гепатоцитах виділяють синусоїдальний і біліарний полюси. Через перший відбувається всмоктування різних речовин із крові, через другий - секреція жовчі та інших субстанцій в просвіти міжклітинних жовчних канальців. Абсорбуюча і секреторна поверхні гепатоцита забезпечені величезною кількістю ультрамикроскопических виростів - мікроворсинок, які збільшують ці поверхні.
Гепатоцити обмежений двоконтурної білково-ліпідної плазматичної мембраною, що володіє високою ферментативною активністю-фосфатазной на біліарному полюсі і нуклеозидфосфатазной - на синусоїдальній. Плазматична мембрана гепатоцита і містить фермент транслоказу, каталізатору активний транспорт іонів та молекул в клітину і з неї. Цитоплазма гепатоцитів представлена дрібнозернистим матриксом з невеликою електронною щільністю і системою мембран, які складають одне ціле з плазматичної та ядерної оболонками. Остання також двухконтурна, складається з білків і ліпідів і оточує кулясте ядро з 1 - 2 ядерцями. В ядерній оболонці є пори діаметром 300-500 А. Деякі гепатоцити (з віком їх стає більше) мають по два ядра. Двоядерні клітини, як правило, полиплоидны. Мітози трапляються рідко.
До органел гепатоцитів відносяться ендоплазматична мережа (гранулярна і агранулярная), мітохондрії та апарат (комплекс) Гольджи. Гранулярна ендоплазматична мережа (эргастоплазма) побудована з парних паралельних липопротеиновых мембран, що обмежують ультрамикроскопические канальці. На зовнішній поверхні цих мембран розташовуються рибосоми - рибонуклеопротеиновые гранули діаметром 100-150 А. Агранулярная ендоплазматична мережа побудована так само, але рибосом не має.
Мітохондрії в числі 2000-2500 зустрічаються у вигляді ниток, паличок і величиною зерен 0,5-1,5 мк і розташовані поблизу ядра і по периферії клітини. Мітохондрії гепатоцитів містять величезну кількість ферментів і є енергетичними центрами клітини. Ультрамикроскопически - мітохондрії складні липопротеиновые мембранні структури, що здійснюють ферментативні перетворення трикарбонових кислот, пару потоку електронів з синтезом АТФ, перенесення активних іонів у внутрішні простору мітохондрій, а також синтез фосфоліпідів та жирних кислот з довгим ланцюгом.
Апарат Гольджи представлений мережею перекладин різної товщини, які розташовуються в різні фази секреторного циклу гепатоцитів близько ядра або поблизу жовчних канальців. Ультрамикроскопически він складається з агранулярных липопротеиновых мембран, що утворюють трубочки, бульбашки, мішечки і щілини. Апарат Гольджи багатий нуклеозидфосфатазами та іншими ферментами.
Лізосоми - перибилиарные тільця - бульбашки діаметром 0,4 мк і менше, обмежені одноконтурними мембранами, розташовані близько просвітів жовчних канальців. Вони містять гідролази і особливо багаті кислої фосфатазой. Непостійні включення (глікоген, жир, пігменти, вітаміни) за своїм складом і кількістю варіюють. Ендогенні пігменти-це гемосидерин, ліпофусцин, білірубін. Екзогенні пігменти можуть бути присутніми в цитоплазмі гепатоцитів у вигляді солей різних металів.



